

Mehmet BAKIR
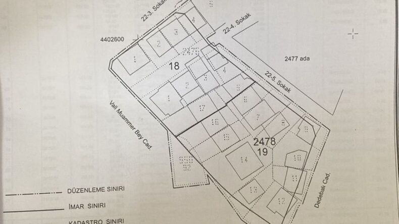
Sivas Belediyesi, Dedebalı Mahallesi sınırları içerisinde bulunan 2476, 2478 ve 950 adalar ile bazı parsellerde 3194 sayılı İmar Kanunu’nun 18. maddesi kapsamında yapılan imar uygulamasının tamamlandığını duyurdu.
Hazırlanan parselasyon planı ve dağıtım cetvelleri 24 Mart 2026 tarihi itibariyle askıya çıkarıldı. Kağıt üzerinde her şey usulüne uygun gibi görünüyor.
Ama mesele kağıt değil…
Mesele, adalet.
Dedebalı Mahallesi sakinleri haklı olarak soruyor:
“Burası Sivas’ın en eski mahallelerinden biri değil mi?
Peki neden imar çalışması parça parça yapılıyor?
Neden mahalle bütün olarak planlanmıyor?”
Asıl dikkat çeken nokta ise şu:
İmara açılan alanlar sınırlı…
Ama o alanların içinde kimlerin arsalarının bulunduğu ise belirsizliğini koruyor.
İşte bu yüzden mahallede ciddi bir rahatsızlık var.
Çünkü insanlar artık sadece “imar yapıldı” denilmesine değil,
“kime yapıldı?” sorusunun cevabına bakıyor.
Şeffaflık olmadan yapılan her işlem, ister istemez şüphe doğurur.
Hele ki imar gibi rantın yüksek olduğu bir alanda…
Vatandaş açıkça şunu söylüyor:
“Eğer bu bir planlama ise herkesi kapsamalı.
Eğer değilse, o zaman bu seçimin gerekçesi açıklanmalı.”
Şimdi gözler Sivas Belediyesi’nde.
Yetkililer çıkıp bu sorulara net cevap verecek mi?
Yoksa Dedebalı’daki bu imar uygulaması da,
“bilen biliyor” denilerek geçiştirilen işlerden biri mi olacak?

